


Above are the four books I own written by my grandfather, Frank (Royal) Rosamond. On page 71 of ‘Ozark Moonshiners’ Frank says he moved to Lurton, or Moore. It is not clear, because this move may have never happened. Franks says he got arrested for moonshining and was sent to the State Penitentiary, where he did not stay long. He had moved into a house that may have been owned by Sam Rosamond, who was secretly making moonshine in the secret cellar of said house.
“He bought a rifle and a neighbor gave him an old squirel dog.”
Here is a hunter with a Blue Tick Coonhound.

http://www.ozarksalive.com/vance-randolphs-photos/
Above is my grandfather, born Frank Wesely Rosamond, who adopted the pen names, Royal Rosamond, and Roy Reuben Rosamond. I will be adding to this page over a period of time. So, check back. Above is Royal reading his newspaper/magazine ‘Bright Stories’. If anyone has seen a copy, let me know. All Royal’s books are self-published by ‘Gem Publishing’. Below are letters exchanged between, Royal, and his friend Otto Rayburn.
I owe a debt of gratitude to Jimmy Rosamond who has encouraged amateur authors to put down their genealogical tales, that are eloquent, and to the point. The University of Arkansas want these letters from men who blazed a very old trail, and put the Ozarks on the literary map. Then, there are the Country Churches. These folks did not own much. But they agreed they can afford to own The Word of God. This is the value that made America Great, and a Land of Equality.
http://harrisondaily.com/vernon-rosamond/article_c7009a3f-1ee5-543f-9310-f7dfa6c9e75b.html
The Rosamond family owned and ran Lurton’s saw mill, thus it is safe to say all the first buildings were built with Rosamond lumber. Drussilla Pierpoint appears to be the daughter of Sir Isaac Hull, the Captain of the U.S.S. Constitution. Frank signs his letters ‘Frank Rose’. His mother was Ida Louisiana Rose, and his father was William Rosamond. There is a genealogy for Ida Rose below, and a page from Moonshiners where Rosemary appears. Is this my mother?
Frank is estranged from his wife, Mary Magdalene Rosamond, and their four beautiful daughters, June, Bonnie, Rosemary, and Lillian. I am deciphering historic-fiction. I never met Frank who has a deeply sad ending to his life. The price writers pay for their art, can be rejection and utter isolation. Even folks telling a simple family tale, orally, can come down on the wrong side of a Family Feud. Is there ever is a right side? After his mother Ida Rose died, Frank was “bound” out to his uncle, James Taylor, who married, Laura Rosamond, Ida’s sister. At twelve, he worked as hard as a slave, thus the title of one of his books ‘Bound In The Clay’. He took up writing to better himself, a Great undertaking.
https://www.findagrave.com/cgi-bin/fg.cgi?page=gr&GRid=24567920
What is truly astounding (to me) is the mention of ‘The Decameron’ on page 88 of Moonshiners. I am going to save this for my book, for it is the hinge pin that opens the door to the Visual Arts – and so much more! In 1967 I declared myself a New Pre-Raphaelite and shared these male and female artists with Christine Rosamond, whose ‘Story Teller’ series resembles Waterhouse’s painting ‘The Decameron’. Did Christine see this Pre-Raphaelite painting? This connection puts to rest our family feud, being, I was Rosamond’s Mentor who was inspired by Royal. There exist so many creative ways to go with this, such as a Ozark Romeo and Juliette, as well as a Ozark Tale of Lancelot and Guinevere. I am talking about a play, or musical. We got one of the greatest villains of all time, whose phantom can come and go on so many stages.
That Frank’s granddaughter, Christine Rosamond Benton, walked on to the stage of Art, and became one of the most successful female artists in history, is a testimony to Royal’s belief, there is art in that name ‘Rose of the World’. Here is my niece, Drew Benton’s kin engaged in creating a family legacy. Thomas Hart Benton and his family were friends of Otto Rayburn and Vance Randolph. Thomas illustrated Steinbeck’s ‘Grapes of Wrath’.
https://www.mainstreetfinebooks.com/pages/books/14671/vance-randolph/ozark-folksongs

In the late summer of 1939, Benton took his son Thomas Piacenza (T. P.) to Arkansas for two short vacations. The pair spent time floating and fishing the White and Buffalo rivers. Benton also sketched and painted the scenery there, resulting in the lithograph Down The River, which featured his son. Another product of these trips was a painting and lithograph of a White River scene, Shallow Creek.
Benton returned in the spring of 1940 with a group of his advanced students from KCAI. They spent about ten days sketching and painting in Newton County, near Jasper. The following year, Benton returned with yet another group of students.
It was about this time that Benton became acquainted with various Arkansas artists and writers. He met poet John Gould Fletcher, who introduced Benton to the artist Adrian Brewer in 1938. Benton knew artists Louis and Elsie Freund and was a periodic visitor at their home in Eureka Springs (Carroll County). He also knew Ozark writer Vance Randolph and illustrated some of his work.

Otto Rayburn and Vance Randolp
https://en.wikipedia.org/wiki/The_Decameron
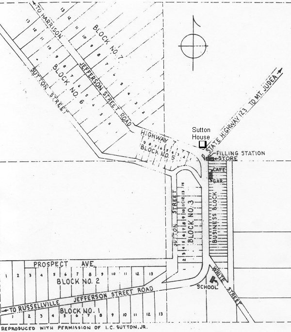
Fred Rosamond owned lot 4,5,6,7,and 8 on Jefferson St. Road in block No.1
Royal’s uncle was Nonimus Rosamond, who got murdered by Yates Standridge.
Jon Presco
William Thomas Rosamond |
|
| Birthdate: | circa 1860 |
| Birthplace: | Mississippi |
| Death: | (Date and location unknown) |
| Immediate Family: | Son of Samuel Rosamond and Frances C. Morrison Husband of Mildred A. Rosamond and Ida Rose Father of <private> Rosamond; <private> Rosamond and Frank Wesley “Royal” Rosamond Brother of Laura Rosamond; Benjamin F. Rosamond; John J. Rosamond; Nonimus Nathaniel Rosamond and Frances J. Rosamond |
|---|---|
“When the old school house became too dilapidated for holding church services, the local citizens banned together and built a new church house. Their inspiration derived from the Bible Scripture of Haggi 1: 8-“Go up to the mountains, and bring wood, and build the house; and I will take pleasure in it, and I will be glorified, saith the Lord.”
Walter and Mima Light donated land for the church site, which is just west of the present Community Center, while local people donated labor and material. The result of the community effort was a beautiful white Church House which opened it’s doors to welcome one and all to worship services. This friendly neighborhood Church House was dedicated April 17, 1954. Church services were held in the building for the next few years, but with families moving, different ministers coming and going, a state of apathy developed in the community. The Church House finally closed it’s doors for a few years. It has recently been renovated and reopened by Vernon and Velma Awbrey Rosamond, after returning to their native area. The church is Pastored by Vernon Rosamond, grandson of Nonimus and Rosa Rosamond, son of Ed and Dullie Woodard Rosamond. Velma plays the piano for the services and teaches Sunday School classes; she is the daughter of Johnny and Mary G. (Gertie) Ray Awbrey.”








http://freepages.genealogy.rootsweb.ancestry.com/~edgmon/lurcity.htm
HISTORY OF LURTON
The community now known as Lurton, began developing long before the turn of the century and was originally named Spence. The only road through the area at this early stage was the old Chisum Turnpike, a wagon road which ran from Dardanelle through Spence, to Carrollton. This road was later replaced by the Jefferson Highway and finally became Arkansas State Highway 7. In the later part of the 19th century, major settlements of the area were located at upper Richland Creek and Tarlton Flats. Upper Richland Creek is southeast of Spence (Lurton) and Tarlton Flats is two miles to the north.
Spence had a post office as early as the mid 1800’s but no data has been found concerning the earlier postmasters or the origin of the name of Spence. The present knowledge of the earliest post office in the area was at Tarlton during the year of 1900, with Francis M. Jackson as postmaster. However, no information has been found as to the origination of the name of Tarlton, either.
Many one room log school houses were scattered around the area near the numerous small settlements. Pleasant View, also called ‘Hardscrabble’ was a one room log school house erected two miles south of Spence. Another log school was located at upper Richland Creek about three miles southeast of Spence. The Tarlton School called the ‘Board Shanty’ due to boards being nailed over the cracks of the log structure, was two miles northeast of Spence. A school was located in the Brimmage district two miles east of the Tarlton School. Liberty School, also a one room log building was three miles north of Spence.
During the later era of Spence, George Hamm owned a large portion of the town and surrounding area, and operated a general store in Spence. The year of 1907, Nonimus Rosamond and sons began operating a saw mill and grist mill in Spence, situated a few yards north of the present old hotel building. Nonimus and Rosa Rosamond had five sons; Sam, Frank, Jim, Ed and Fred. Ed and Fred were twins and the youngest of the boys. Sam, the oldest son, tired the boiler for the mill while the twins worked the off board. Although Ed and Fred were quite young at the time, they helped to saw the lumber for one of the few remaining land- marks of Spence. It was a large two story home, erected for George Hamm in 1907. Nonimus Rosamond was killed January 1, 1908, and Sam became operator of his father’s mills.
In January 1914, I.C. Sutton, Sr., bought some property two miles south of Spence. He moved his family to this home May 10, 1915. Then he purchased George Hamm’s large home in Spence and all of his property, including 270 acres in and surrounding the town, December 1916. At this time Spence had almost become a dead town. Meanwhile the area post office had moved several times before coming back to Spence. April 17, 1914, it was moved from the Francis M. Jackson place at Tarlton, to the Freeman home near by and was operated by Eula Freeman. It was discontinued in Tarlton September 30, 1916, and the mail was sent to the town of Moore, five miles east of the Freeman property. January 9, 1917, Cornelia Sutton, wife of I.C. Sr. contracted the post office and it was moved back to Spence. Mrs. Sutton was asked to submit five names to the postal service, in order to choose a new name for the post office. The name of Lurton was selected as no other post office had that particular name. Lurton was the surname of Mrs. Sutton’s half sister’s husband, Marion Lurton. Thus, the old name of Spence ceased, and the new town of Lurton began. Mrs. Sutton operated the post office until her retirement in 1945.
In 1921, I. C. Sutton, Sr. established a general store in Lurton, and in 1925 he began to manufacture split bottom chairs in the mill shed the Rosamond family formerly operated, he also ran the grist mill. In 1925, E. J. Sutton, brother to I. C. Sutton, started a business of a garage and cafe. So Lurton was well on its way to becoming a boom town. E. J. Sutton sold his garage to Andrew Smith, and sold the cafe to Joe and Lizzie Hefley in 1928. The next year Mitchell Smith bought the garage from his brother Andrew, and later bought the cafe from Joe Hefley. Around this time, South Lurton came into existence when Mitchell Hefley began operating a gas station, store, garage and grist mill. This business section was approximately ¼ mile from downtown Lurton. A small community grew up around this south side of Lurton.
Mr. I. C. Sutton decided it was time that Lurton had its own school, so he donated two acres of land for the building site and supplied most of the lumber and materials to erect the school. The labor was supplied by local men, and this was the first school house in the area to be built with sawed lumber. With the opening of the Lurton School. the other small surrounding log schools closed, and the children then came to Lurton School. Although this school had only one room, it also had a stage, and was a fairly large building. Grades one through eight were taught, with only one school teacher in the beginning, but later an extension was added and another teacher had the lower grades for some time. Lurton became the first school to consoidate with Deer School and the four upper grades were bused to Deer, around the late 1930’s. It continued on as a wing school however, until the doors were finally closed to students in 1961.
To evidence the fact that Lurton was growing into an industrious town through the ingenuity of the Sutton family, the following ad was placed in the ’L.oumar Souvenir Guide, Touring Information’, published in Ft. Smith, Arkansas, in 1927. The ad reads as follows:
TOURISTS ARE WELCOME AT LURTON, ARK.
In the Ozark National Forest
LURTON GENERAL STORE
I. C. Sutton, Prop.
A tourist supply store, lunch goods,
candies, cold drinks, are our specialties.
LURTON GARAGE
E. J. Sutton, Prop.
A complete and general auto service.
High grade gasoline and oils.
A map showing Highway 7 through Newton County, in this Tourist Guide, says the population of the town of Lurton was 25, and has the Tourist Camp rates “O.K.”. The camp consisted of a spring of water, being piped to a large horse trough near the road. The road was widened at this point to permit parking of wagons and cars. The spring and camp was located across the road from the I. C. Sutton home, near the present Gilmore Tackle Shop.
In 1929, I. C. Sutton, Sr. purchased a rough-turned handle factory equipment at Bass, Arkansas from W. E. Bruner and Sons. He erected the proper buildings for a handle factory, Just northwest of the Sutton home, and moved the equipment to burton. I.C. Sutton, Sr. and his two older sons, I.C., Jr. and Charles began the operation of a growing business. They first started making striking tool handles, but later added a line of shaped tool handles and base ball bats. The factory began with 25 workers, but had as many as 75 employeed during World War 11. In 1930, Elmer Hamm purchased the general store from I. C. Sutton and employed W. A. Thompson as clerk. A few years later W.A. Thompson bought the store from his employer, and moved it to a new building south of the garage. Also, Ed Erickson operated a small notion store in a little building, between the garage and the old Hamm store building. I. C. Sutton, Jr. bought the inventory of this notion store in 1941, and in 1943 he purchased the general store from W. A. Thompson. Ruby Hefley Sutton, wife of I. C., Jr. took over the post office in 1945 when Mrs. Cornelia Sutton retired. The post office was moved into the general store building, where Ruby maintained it until 1952.
Around 1930, Harry and Jossie Tatro built a large two story hotel, a few yards south of the Smith Garage. This added another business to the town. The hotel was very plush for its day and time; it also served delicious home cooked meals. It was a popular stop over for tourists, as well, as providing a home for some of the Sutton Factory employees. A deep well of good water had been hand dug in the earlier days of Spence, which is still in existence and use, near the old hotel building. This well of clear cold water, served several homes, businesses, and provided a refreshing cold drink to travelers passing through. The hotel ceased it’s business years ago, and is now used as a private home. it is presently owned by Nolan and Gelene Smith Castleberry, daughter aad son-in-law of Mitcheel Smith.
The busy little town of Lurton began to decrease in population in 1952, when the Sutton Handle Factory moved it’s location from Lurton, to Harrison, Arkansas. This business provided the major employment of the area men. Some families moved with the Sutton Factory to continue working, while others went elsewhere to seek employment. Lola Dollar was an employee at the factory in Lurton, but she purchased the general store and contracted the post office, from I. C. Jr. and Ruby Sutton, at the time the factory moved. Lola operated both the store and post office until she sold her porperty to Nolan and Gelene Castleberry in 1966. At this time the store ceased operation, but the post office was commissioned to Glenna Sam Adams. Glenna operated the post office from 1967 through 1969. Finally, the post office was completely phased out, thus ending another era of the history of Lurton.
During the years of the Lurton School, the building was used for all of the community functions. It served as a church house for all denominations and revival meetings, pie suppers to collect aid for family disasters, 4th of July picnics, a voting place for all elections, traveling medicine shows, and at times during the summer it provided housing for musical lessons given by a traveling music teacher. One of the well remembered events held annually, was the Christmas program. The skits and plays were acted out by the local children and was directed by the school teacher. There would always be a large community Christmas tree the night of the program, with sacks of candy, nuts and fruit, for every child in the entire surrounding area. The tree, decorations, and treats were furnished by the local business men. Most every child in the area participated in the programs, as this was the highlight of the entire school year.
Many factors over the years helped in the decline of the once thriving town of Lurton. When the Ozark National Forest Service was founded in 1908, many homestead farms were purchased, as well as land from large property owners. During the years of World War 1, local men went into the service, and some families moved east to work in war related industries. Some of these families never returned to the area, and the Forest Service obtained more land for back taxes on the deserted farms. Other families lost their property during the depression years, for lacking of tax or mort- gate money. Then along came World War II and the next generation of young men answered the call to serve their country, and families went west this time, to seek work in war connected factories. Some of these families returned to their beloved mountains, while others did not. In the 1950’s, Highway 7 was black topped but it by-passed Lurton, causing a decline in traffic related business. The Sutton Factory moving from Lurton in 1952, certainly added to the decrease in population of the area. Finally, in 1961, the Lurton School’s full consolidation with Deer School, had an impact on the community. The final blow came when the general store closed and the phasing out of the post office.
The old Lurton School building continued to be used for community gatherings until it was torn down in 1974. At this time, a new Community Center was erected on the old school grounds, just south of the old building. This new Community Center serves the public in the same capacity as the old school house did.
When the old school house became too dilapidated for holding church services, the local citizens banned together and built a new church house. Their inspiration derived from the Bible Scripture of Haggi 1: 8-“Go up to the mountains, and bring wood, and build the house; and I will take pleasure in it, and I will be glorified, saith the Lord.”
Walter and Mima Light donated land for the church site, which is just west of the present Community Center, while local people donated labor and material. The result of the community effort was a beautiful white Church House which opened it’s doors to welcome one and all to worship services. This friendly neighborhood Church House was dedicated April 17, 1954. Church services were held in the building for the next few years, but with families moving, different ministers coming and going, a state of apathy developed in the community. The Church House finally closed it’s doors for a few years. It has recently been renovated and reopened by Vernon and Velma Awbrey Rosamond, after returning to their native area. The church is Pastored by Vernon Rosamond, grandson of Nonimus and Rosa Rosamond, son of Ed and Dullie Woodard Rosamond. Velma plays the piano for the services and teaches Sunday School classes; she is the daughter of Johnny and Mary G. (Gertie) Ray Awbrey.
Even though Lurton has become a small community, many families still live in and around the area. The beautiful mountainous region attracts retired persons, looking for a quiet serene place to live. Some employment is provided by the Forest Service and timber related businesses. Some family providers drive to Harrison or Russellville to their jobs, while some local citizens work in the Art and Crafts vocation. Several area farms produce livestock for sale, and almost every family have their own vegetable gardens.
There is still one thriving business in Lurton to date. The Gilmore Tackle Shop owned and operated by Luney Gilmore and his son, Dennis, is widly known for their famous lines of fishing lures. The shop began manufacturing fishing lures in 1950 with three workers and presently employees between 19 to 25 people.
I have always heard it said, “you can never go back”. And for the most part, I have always believed that. When you move away, leave friends, family and the community in which you were born, you can never go back and pick up the pieces and start life over, as you once knew it. But, I have had an experience that has really put some doubt in that old saying. Please allow me to share a bit of me, with all of you.
I am Lloyd Sutton, son of Charles Sutton and Ora Smith Sutton and grandson of I. C. Sutton and Cornelia White Sutton. These Suttons were from Lurton, Arkansas. My mother’s family was from the Big Creek area around Vendor, Arkansas. My maternal grandparents, from that area, were James Pleasant Smith and Susanna Jane Pierce Smith. Great-great grandparents were, Martin Tackett Smith and Rhoda Cindy Standridge Smith and James Pierce and Rachel Owens Pierce. This is to just fill you in on my Newton County connections.
I was a child from a home divided by divorce back in 1944. I was nearly four years old at that time and was born at home, as most were, at Lurton, Arkansas, in a small frame house along the old highway #7. Even at that young age, I have some memories of Lurton, Granddad Sutton’s Handle factory, Uncle Irving Sutton’s store, my Grandmother in the Post Office, and old Shep, a dear dog that kept me company whereever I went. You have to keep in mind that all these memories are not clear and bits and pieces of things come and go. “For now I see through a glass darkly…” But some of the more traumatic or extremely good memories come in focus very clearly.
After my dad left to go into the field of electrical work elsewhere, my mother decided to go to California where several of her brothers and sisters had now moved. We caught a ride out of Lurton, Arkansas on the back of Berry Hefley’s big cattle truck. He had a tarp stretched over the cattle frames to provide a shelter for the ones in the back. There were others from Lurton that were migrating to California also. Riley Cathers and his daughter Ilene were on there, as I understand.
We lived in California for two years, then my mother met and married a man from Fouke, Arkansas by the name of John Combs. I spent my life growing up at Fouke and then married my childhood sweetheart, Jo Ann Scott, and we still live at Fouke.
![]() |
Now, with this background, my story starts with a trip back to Lurton. After we moved to Fouke, Arkansas from California in 1946, we went back to Lurton to pick up a few things that were left there, such as an old single shot 22 that my mother’s brother, Andrew Smith, had kept for us and a few other things. As we got there and walked around meeting people, memories started easing out, slowly at first, then more freely. I was seeing faces that were vaguely familiar. Besides family, there were Big Joe Hefley, Mr. and Mrs. Tidwell, Fred Rosamond, and others.
![]() |
I made several of these trips to Lurton throughout the years. My grandparents lived in the “Y” between the old highway 7 and 123, in the two story white frame house. As I was growing up, this house was like a lighthouse. It lit the way for me as I came home to Lurton. I never felt like I was home until I saw that white house at the end of the street. Yes, this was home for me, for as long as I can remember. My roots are planted deep in Newton County and especially at Lurton. The old hotel, which was built by Harry and Josie Smith Tatro, is another landmark at Lurton and is near and dear to me. Aunt Josie was my mother’s sister. It later became the property of my mother’s brother, Mitchell Smith.
Lurton holds many memories for others and they have related some of them to me. I have heard of the great Lurton picnics, held at the Old Ball Diamond near the Freeman field, and also at the Lurton School, near where the Community building now sits. There were dances, games for the kids, entertainment for the adults, air plane rides at the Freeman field, and even some disruptions with drinking and fights. My Grandfather was deeply involved in these Lurton picnics. He has hired a plane to fly around the other communities and drop leaflets advertising the Lurton picnics. They had greased pigs for the kids to try to catch, sawdust piles with coins scattered within for the kids to dig through to find the planted coins, and greased poles with money on top for the one that could climb up to get it.
![]() |
I. C. Sutton’s handle factory provided employment for many people in the Lurton area. My grandfather had timber scattered all over the mountain, giving more work for the ones working in the timber. Sawmills were scattered around, also. My grandmother ran the Post Office and even named the town of Lurton when she applied for the opening of the first Post Office. She had to provide a list of names for the Postal Service to pick from. The name Lurton was the name of her sister’s husband, Marion Lurton.
![]() |
The hotel provided rooms for many workers with the Forest Service and Highway Crews and others. The CCC Camps were scattered around the mountains giving work for many men. The camps were run much like a military installation. There was lots of work performed by the men from the CCC Camps. Many of the men met and eventually married women from the Lurton area as well as the other areas around the mountains. One of my first cousins, Juanita Smith met and married Austin Davis, a man from Fouke, who also happened to be a first cousin of my stepdad, John Combs. He was in the CCC Camp near Lurton.
![]() |
Lurton had a baseball team, coached in part by my Uncle Andrew Smith. Austin Davis pitched for the team some at one time. There were many different men that played on the baseball team at different times. They raised money to buy uniforms and were really good, from what I hear.
When I would come back home to Lurton, I always felt a sense of pride. I had many family members around that were well known to the area like my Grandfather, I. C. Sutton and my Grandmother. Uncle Andrew Smith was a big coon hunter and a dog man. He loved his dogs and always had plenty around. He had won many field trials in his day, even in California. Uncle Mitchell Smith was always busy with his things, such as running the Smith Garage and dance hall. His wife, Aunt Lucy Hallum Smith kept the hotel going. Uncle Irving and Aunt Ruby had the General Store just south of the hotel and always had many people coming and going. Their children, Halleen, Sonny, and Bobby Sutton were very much a part of Lurton. Bobby and Sonny were always a bit mischievous, but were good kids. They were always pulling something to liven up the town of Lurton. I had family there and felt good when I came back home.
I was so distant from my grandparents that I felt a little less than a grandchild. When you live so far away and didn’t get to see them often, it was hard to get to know them. In a way, I shied away from them and was just a bit afraid of the unknown. It was later years when I finally started becoming close to my grandparents. I have spent the night there in that two story white frame house at the end of the road and thought about my life and relation to the Suttons.
As I became older, the trips to Lurton were more friendly. I had a chance to spend some time at Granddad’s house with Jeanette Thompson, another first cousin of mine, that was about my age, Bobby and others. We spent time upstairs playing with the old wind up Victrola. There were some old records that we liked to play. One record stands out in my mind. It may be the only one that I really remember. It was titled “Hallelujah I’m A Bum”. I can remember playing that record many times. The tune was the same as the church hymn, “Revive Us Again”. At a young age I did not attend church much, as my mother and step father were not going to church very much at that time. Well, when I was at church one time I realized that they were singing the Bum song, or at least the tune. I thought at the time that it was kind of unusual for them to write a church song with the same tune as the Bum song. It was some time later when I decided that it was the other way around. The Bum song was written after the church song, “Revive Us Again.” I have thought of that old song many times.
Time was limited when we made visits to Lurton and I did not know very many people there. I have made several trips to Lurton through the years, but it was never the same after Uncle Mitchell and all the others left. When Granddad moved to Harrison with the handle factory, it seemed odd going back through there. Then later, Uncle Andrew moved away. Now it was like a ghost town to me. But, I always liked to go back through Lurton just to see the hotel and Granddad’s house. I always liked to reminisce about the old days when times were different…when as a kid I shied away from Granddad and Grandma Sutton, because I was shy and insecure…and afraid. I have had many regrets as I look back. I wish I knew then what I know now, but that is time that cannot be called back. I lost more than just my Grandparents, I lost the history that only they could have told me. I was always taught to not ask personal questions. Now I wish I had asked many personal questions. I now have many things unanswered because I did not ask enough questions.
Many years passed by with the occasional trip through Lurton just to get a look at the old house and hotel. other than memories, I had lost all my Lurton family and connections, with no one there that I knew. I always left with a feeling of sadness. Why did it have to change? Why could it not have stayed the way it was?
Then, in November of 1993, after visiting with Uncle Harry Sutton in Harrison, Arkansas, copying lots of his old photographs, I made a trip back towards Lurton that changed my life. I drove first through Jasper and subscribed to the “Newton County Times.” Then, I began a sentimental journey that has not yet stopped. I drove to the Smith Cemetery, near Vendor, Arkansas and then on to Lurton. As I stood in the Smith Cemetery, I had a realization of a truth that shocked me. That day I stood there all alone, with no one else around, looking at inscriptions on the stones, trying to pull up bits and pieces of things told. That is when I realized that I really did not know much about my family. My Mother, Father, Brother, all Grandparents, most of my Aunts and Uncles and many Friends and Acquaintances were gone. Here, I was all alone in the world, it seemed, with no one to talk to. I could not stop by anyone’s house to visit, because I did not know anyone. I walked around that cemetery with a lump in my throat so big I could hardly swallow. I took pictures, looked at names, inscriptions, did a lot of wondering, and after much soul searching, I drove through Mt. Judea and on to Lurton.
FRIDAY AND SATURDAY NIGHT
Colleen Haynes Rongey:
The sleepy little Ozark Mountain Village of Lurton, Arkansas was beginning to wake up. It’s Friday night, the weekend is coming…the sound of old cars and truck gears can be heard grinding and straining to climb to the top of the mountain. They come loaded with all ages out of the creeks and hollers in Eastern Newton County, for the music and dance that was usually held somewhere.
![]() |
Lurton street scene, taken standing in the front yard of the Sutton home, looking south toward the hotel…Thank You Harry Sutton for this picture…great view of the street and vehicles…
The smell of wood smoke is in the air as the little houses holding on to the hillsides begin their supper smells. Yeast bread baking and fresh pork frying, ready to make red eye gravy for the evening meal. I flew down the road the mile home from the store with the box of soda mother sent me for, and wanted desperately to stay and see who was coming to the dance tonite at the garage. Stella Rose and Lucille Gregory are coming to stay all night with us so they can go, and maybe mother will let me go with them to the dance.
Comb my hair and slip on some lipstick, just in case one of them good lookin Judy boys shows up…if they can get a ride out here, they’ll be here. Most of the mama’s won’t let their girls come because they think it’s wild out here at Lurton. Don’t know where they got that idea, looks pretty tame today out here to me.
Only a good fight to watch would make it any more exciting. And this would probably take place if some of those from Bass and Judy showed up at the same time. Or if some of the folks from Treat and Camp we go to at Bullfrog Valley show up…
![]() |
Ted Tatro and Colleen Haynes, in front of Dance Hall at LurtonTed Tatro:
The men from the CCC Camp would come in to town on Saturdays to spend what little money they had. And my uncle that lived next door had a garage and he sold beer and they had dances there. Uncle Mitchell and Aunt Lucy had a big hall that they had dances in, and the boys from the base, the CCC Camp, would come and Uncle Mitchell would have someone go out into the country side and bring in the young girls to dance with them…he would have someone to drive his flat bed truck to the outlying areas, bring in the girls from far and near to dance with the boys from the camp. One thing, we had plenty good music. ‘Ole A. Hefley and Ox Head would play their fiddles and someone would sing, there would be plenty dancing, plenty beer…and fights.
And my dad, being the constable in Lurton, he was in charge of the law enforcement. One night there was a disturbance or fight at the garage. You can’t mix girls, beer and dancing without somebody getting upset. My dad was called and he got his Billy Club and then he got his gun and it accidentally discharged. The bullet went through the floor and the ceiling in the lower part…we had an apartment in the basement. Uncle Ace and Aunt Nancy lived down there at that time. The bullet went right between Uncle Ace and Aunt Nancy, and hit the floor. I imagine everybody was quite shook up. Anyway, the disturbance got taken care of and everything went back to order. The boys from the CCC Camp was a quite impressive part of Lurton during these times.
![]() |
picture from George Bickner…James Harmon Smith playing the mandolin, Ernest Daniel on the right with the fiddle. Uncle Andrew Smith, dancing with George Bickner’s wife, Juanita.
![]() |
A cousin dancing with Aunt Cressie Cooper Smith (Andrew’s wife). In the back to the right is Andrew Smith, dancing with Ruby Sutton (Uncle Irving Sutton’s wife). In the center toward the back, sitting down is Stanley Smith, another cousin. To the left side near the back is Margaret Daniel, sitting down.
The dance pictures were made at the Old Bickner House…which became the Ernest Daniel House…
When I got to the Tarlton Cemetery, at Lurton, I did much the same thing as I did at the Smith Cemetery. Here, at least, I knew a few more of the people in the cemetery. But, I did not know one person to visit there at Lurton…not anyone. All of my family had died or moved away. I was all alone and again…the lump. I was feeling so down and alone…I wanted to just find a place to sit and cry. And, I probably did a bit of that. After all, there was no one to see me…I was alone in the world, at that time. I walked around, took pictures and looked for people that I remembered from my childhood. There was Cliff Tidwell and his wife, Robertha. I remembered them…he had a round smiling face that reminded me of Santa Claus, if he had the beard. I found Fred Rosamond. I could see his face with the big grin. He always made us feel welcome when we came to Lurton.
There was Mrs. Crawford. She was at Ernest Daniel’s place when I visited at Uncle Andrew’s house one year. I was pretty small…about 12 or 13, maybe. She told me that she remembered the day I was born. I thought that was odd. How could she remember me out of all the babies that were born there at Lurton. Then, she told me that was the day electricity was turned on at Lurton…September 23, 1940. Then, she said that was also her birthday. I found her stone there in the cemetery to convince myself that I was not imagining things. There it was, September 23, 1888. Sure enough, her birthday was the same as mine.
I looked at Uncle Andrew’s stone and stood reminiscing about the times I had spent at their house, with Aunt Creasie and James Harmon. I thought of Uncle Andrew’s dogs…he loved his dogs as much as anything he had. I could almost hear him in that distinctive voice of his, “here, Blue”. I found many others that were vaguely familiar. During this time, I was thinking of my Sutton family and how I knew so little about them. There was my Great-grandmother White, Grandma’s Mother. There was Great-grandmother Minerva Sutton, Granddad’s Mother. There was Granddad and Grandma Sutton, Uncle Irving, Aunt Ruby and all the rest of the Suttons buried in a row across the cemetery. I thought of Sonny Sutton and how he always loved to have fun and was always playing jokes on everyone. I could form a mental image in my mind’s eye of the ones I remembered. Some were as clear as if viewing them on a screen from a slide. As I looked at these and all the others…they were just a memory now. I really had some bad feelings of loneliness, there that day…all alone in the Tarlton cemetery. It was as though there was no one within miles of me. I felt totally alone in the world.
I left there and drove by my grandparents house and took some pictures of the house and hotel. After much reminiscing and soul searching I drove home to Fouke without talking to anyone at Lurton that day. I really wanted to talk to someone, but I really did not know anyone to talk to. That particular incident really bothered me for a long time afterwards. As I said, with me being alone, I felt loneliness and isolation as bad that day as anytime in my memory. It seemed like this was no longer home. And even the house where I was born had been torn down and no longer existed…just gone.
About this time, I was just starting to correspond with Colleen Haynes Rongey. Uncle Harry Sutton had put me in contact with her. We wrote, called and got to know a little about one another. Then, before the time of the Decoration in 1994, Colleen invited me to come to Lurton to her family reunion and the decoration. I had never been to a decoration before…this was my first. I got there on Saturday and after driving around for awhile, I drove over to the Daniel’s Park. I got out of the car, feeling a bit nervous, and started walking towards a small group of people there. I think it was around 12:30 when I got to the park. I had already started looking for Colleen, but I did not know what she looked like. The only pictures I had seen of her were from the old days when she was young and black headed. I had not spotted anyone that might be her. But, a lady walked toward we with that question mark look in her eyes. It was Betty Ann Daniels Thomas. She asked, “do I know you?” I said, “no, but I heard there was going to be some good food to eat and I decided to stop.” Well, as they say, the rest is history. We hit it off very well and I feel close to all the Daniels family.
After meeting all of the Daniels, Lillie Hefley Vanderpool, Herbert and Alta Lea Hefley Hampton, Pete and Opal Bristow, Louis and Thelma Awbrey Gregoire, Vernon and Velma Awbrey Rosamond, Devoe Hefley, the Haynes family, and many others, I now feel at home, again. The Haynes family, along with all these others have been like family to me. Paul and Colleen Haynes Rongey, E. L. and Carol Haynes Hefley, Bud and Wilma Haynes, Phyllis Haynes and last but not least Fred and Patsy Haynes Coonts are all my adopted family. I have attended their reunion each year since 1994. I have to give special attention to Patsy Haynes Coonts for the friendship she has shown me since meeting her. She has told me many stories about the Lurton area and is just a very special lady. Patsy has been an inspiration to me as she has been battling cancer. She has made me a better person by just knowing her.
Words can not describe how I feel. I am like a child that needs his security blanket, in a way. All the great people of the Lurton area have given me my security blanket. I can feel such a surge of emotion sometimes, that it is hard to understand. I feel a closeness to everyone and a real connection to Lurton again. I have no family at Lurton anymore, but I feel the same closeness and security with all of these good people that I might feel with family. Lillie has taken me in as one of her family, and she is a great lady. I feel blessed to have met all of you people of Lurton again. You have all been so good to me. I now have a home here again.
In 1996, I had an opportunity to buy a small piece of my grandparents property from the Sutton Estate. It is five acres just down the road from the old house, on the right. It has a good view of the mountains and would be a good place for me to build a small home someday, maybe. When I finally got the deal closed, I felt like I was back in Lurton, even though I still live at Fouke. A small piece of Granddad’s place…what a thrill. I can walk out and look at the pretty mountain view and be filled with deep emotion. I can’t help but think of my grandfather and wonder if this is how he felt when he bought his first piece of land near Lurton back in 1915. Is this what drew him into this rough, but beautiful country?
On May 24, 1997 the old Sutton house burned to the ground. Nothing left now but memories. I happened to be in the area for the Decoration and Woodard reunion that week end. I was sick when I drove down the street toward the house only to find it gone. The smoke was still heavy from the fire. As I stood by looking at the remains of the old house, I became choked up with that, all too familiar, big lump in my throat. But, all I could do was feel remorse and reminisce about the early days. The old song that Granddad used to play a lot…as well as us kids, came drifting from the ashes…”Hallelujah I’m A Bum.” Glena Adams was there at the Site of the fire that day to keep sightseers away until there was an investigation. I hated to break down in front of her, but I think I did anyway.
On September 22, 1997 I closed the deal to buy the House site where my grandparents house sat. It is only nine tenths of an acre, but it holds the remains of the house and some remaining memories there. I can, in no way, bring back the house nor the good old days, but maybe in some small way I can preserve some of the dignity and memories of the Suttons there at Lurton. I am proud of the rocks that I now own from the Sutton house. I plan to put them to good use in time.
In June, 1998, work was completed on a monument for I. C. and Cornelia White Sutton, paying a tribute to them, their work and dedication there at Lurton for so many years. The monument stands there in the “Y” on the site of the old home place. I am proud of the work done on the monument, using the rock from the old house, by a Newton County Rock Mason, Ron Chasteen. He did a great job.
![]() |
My heartfelt thanks go out to all the people of Newton County. I have relatives around Vendor, Mt. Judea, Jasper, Bass and places in between. There are several I have never been around, but the blood relation is there no matter how distant. I feel a kinship with them all.
I especially want to note the feelings of love I feel from the people of “The Lurton Assembly Church”, established by Uncle Dan Hefley. His daughters, Alta Lea and Lillie, along with their families, have been great to be around. They have made me feel right at home.
![]() |
It seems as though life goes full circle, from a small boy nearly four years old, through many years of trial and tribulations, heartaches, and then, back home once again to Lurton, Arkansas. Yes folks, I am back home where it counts most…in my heart.
The above article was submitted by Lloyd Sutton…Lloyd, Thank You for sharing!
The Tarlton Cemetery, located two miles north of Lurton on State Highway 123, holds many of the early and prominent settlers from Lurton and surrounding areas. Isaac Freeman homesteaded a large area of land about 1 1/2 miles north of Lurton. He brought a woman slave and her daughter, when he moved his family to the area. The story goes that the woman died after becoming over heated while helping fight a forest fire, near the home, and drank too much cold water from the spring. It’s assumed she was one of the first burials in the Tarlton Cemetery. No data can be found on her child. Although no headstone in the cemetery bears the name of Isaac Freeman, he could well be any one of the many fieldstone marked graves. The SW and SE sections of the cemetery hold the earlier settlers, with fieldstone markers and no other data. A headstone has the name of William Brimage, born 1802 in Tennessee (no other data), and one has James Polk Brimage, age 16, Civil War Veteran. These two burials are located in the SW corner of the cemetery along with many fieldstone marked graves. This gives validity to the assumption the cemetery must have started in the early 1800’s.
Other prominent names found in the Tarlton Cemetery are: Ass C. Hamm, Brimmage, Claytons, Claxtons, Waters, Ketcbersides, Daniels, Woodards, Rosamonds, Hefleys (Dan Hefley preached in the area about 60 years), Jacksons, I. C. Sutton, Sr., and wife Cornelia, both mothers of Mr. and Mrs. Sutton and a son and grandchildren of the Suttons. Dr. Frailey and wife (he practiced medicine in the area during the early years of Lurton). There are many other well known family names, Civil War Veterans, World War I and II Veterans, and Korean War Veterans.
All of this information was obtained by gathering data from many different people and sources. Facts were handed down from generation to generation and is as accurate as can be ascertained at this time. I wish to extend my gratitude to all for their generous cooperation, which made this writing possible.
PROPOSED SUBDIVISON OF LURTON
1929 DRAWING
![]() |
from Harry Sutton: “…my dad had filled in most of the property owner’s names and the particular lots and blocks they owned at the time, which must have been in the early ’30s. That old plot is too fragile to make copies of, so I have taken on the task to identify them by Name, Lots, and Blocks as indicated on the plot, also have attempted to add the ones that I remember that weren’t written on the plot.”
BLOCK I
Lots….1, 2, 3……..T. G. Jacklin
Lots….4, 5, 6, 7, 8……..Fred Rosamond Lots….9, 10, 11, W1/2 12………A. T. Thompson (Walter Light)
Lots….E 1/2, 12, 13……..Church Acreage 2.14 A, East of 12……..Ed Garrison (M Smith)
Acreage 1.94 A, E. of Garrison, Lurton School
BLOCK 2
Lots….1, 2……..W. B. (Toad) Hefley
Lots….3, 4……..G. B. Daniel
Lot…..5……..Cliff Tidwell
Lots….6 thru 13……..No homes
note: Some lots sold later, but I don’t have their names.
BLOCK 3
Lots….1, 2……..Methodist Church (Tri County Telephone Co.)
Lots….3 thru 9……..No homes
note: John Monroe Hallum had a house on lot 6 that burned.
Lots….10, 11, 12…….downtown W. A. Thompson (Dr. Fraighly, I. C. Sutton Jr., Lola Dollar and Nolan Castleberry)
Lot….l3……..first house of John Monroe Hallum
note: Burned, I.C. Sutton bought back the lot
Lot….14……..Rent house
note: Cap Haynes lived here while in Lurton. Also many other families, including Ray Millard before Irving and Ruby Sutton bought it…many families after that, also. It changed owners several times, now belongs to ‘Pete’ Bristow.
BLOCK 4
Lots..1 thru 9……..Elmer Hamm
note: H. W. Sutton, Luther Merriman and now belongs to the State of Arkansas
Lots..10 thru 17 Business Block, no buildings
Lots..18 thru 23……..General Store
note: (New) Lurton General Store, built and first operated by W. A. Thompson, then sold to Irving and Ruby Sutton. Ruby later became Postmistress and a portion of the store was used for the postoffice which was moved from it’s original location in Old store building located North and adjacent to Lot 35 in Block 4. When the I. C. Sutton Handle Factory was moved to Harrison, Arkansas the store wa sold to Miss Lola Dollar and she became Postmistress then also.
Lots..24 thru 28……..Lurton Hotel
note: Built in 1930 by Harry Tatro operated by the Tatro family until they moved to California in the early 1940’s. It was then sold to Mitchel and Lucy Smith and now belongs to their heirs.
Lots..29, 30, 31……..Elmer Jason Sutton, brother to I. C. Sutton built a garage and restaurant in 1925.
note: This was before the survey of the Lurton town plot was made in 1929. They turned out to be on lots 30 and 31 when the survey was completed and were both under one roof and was located just South of T. G. Jacklin’s Land Office. T. G. was also a Notary for the local area. In 1928 E. J. Sutton sold his garage to Andrew Smith and the restaurant to Joe (Big Joe) and Lizzie Hefley. The next year Andrew Smith sold the garage to his brother Mitchel and Lucy Smith and soon after that Mitchel bought the restaurant from the Hefleys and made that their home until they moved to California in the late 40’s or early 50’s.
Lot..32 or 33……..Was the location of the little Forest Office building and was owned by I. C. Sutton and was on the former location of T. G. Jacklin’s Land Office.
This completed the commercial buildings in the Business Block, Block 4. However, just North f Lot 35 was located the Original Lurton General Store and Filling Station where practically all of the community activity was carried out prior the construction of the Garage and Restaurant. It also was the location of the first Post Office when Lurton became a town and got on the Map. It was not inside of the town plot, but joined it on the North.
BLOCK 5
Lot..1……..A corner lot in the form of a triangle and never had any buildings on it.
Lot..2……..Rent house belonging to I. C. Sutton and housed many of the early families of Lurton.
note: Some that come to mind are Doug Shaddox family, a Forest Service Supervisor, Walter Gilmore, one of the early teachers of the New Lurton School, Eva, Marie and McFayette Meadows. Eva was one of I. C.’s first bookkeepers. The Nolens, an early employee of the I. C. Sutton Handle Factory. Then, there was the Duel Freeman family and several after that.
Lot..3……..The original L. G. Spencer Summer home.
note: He was a Phrenologist…feels the bumps on your head and tells you what you are good for…and was a cousin of my mother. After Yvonne and I got married my dad remodeled the house making it modern with full bath and electric cookstove and that was our hom euntil we moved to Harrison in 1951.
Lots..4, 5, 6……..No homes
Lots..7 or 8……..Rent house
note: One of the earliest renters was Henry Nichols and his family. The Nichols, Henry, Delbert, and Jim were very early employees of my father I. C., working for him making chairs prior to the days of the Handle Factory. Even their mother and their sister Rosetta Mans and her husband Curgus Mans worked in the chair factory. After Henry moved away the house was used to house the family of the night watchman for the factory.
Lots..9, 10……..No homes
BLOCK 6
Lot..1……..
note: The first family I remember living there was that of Simon and Bonnie Ricketts. It was later purchased by Luney Gilmore and used for his first fishing tackle factory.
Lot..2……..
note: The first family I remember living there was Ace Gilmore, one of the teachers of the Lurton School. Luny Gilmore purchased this property when the Gilmores moved to California.
Lots..3 thru 7……..
note: Also belonged to Luney Gilmore and I suppose to his heirs now.
Lot..8……..Rollie Cathers
note: Kenneth Hefley and others, then bought back by I. C. Sutton.
Lots..9, 10……..No homes
Lot..11……..Tom Bauer
Lots..12, 13……..No homes
BLOCK 7
Lot..1……..Lurton Furniture Factory
note: Later called the I. C. Sutton Handle Factory. The factory was moved to Harrison, Akransas in 1952 and kept the same name until 1958 when it was Incorporated with the sons Irving and Harry and was renamed Sutton Products Inc. It still operates under the same name today with Bobby L. Sutton, Irvings’s son and the owner and has beenmoved to Bergman, Arkansas. It no longer makes handles as the primary product, but has reverted back to mostly bar stools and chairs.
Lots..2 thru 10……..No homes
Lots..11, 12, 13……..Charles and Ora Sutton
Harry Sutton finishes up by saying: “That completes the list of people according to the information I have and can remember at this time. I’m sure there are probably others that lived there but at this writing that is all that I can think of.”…(November 6, 1993)
Well Harry Sutton, I think you did a real good job of remembering…Thank You!
LURTON REMEMBERED, PART 1
Submitted by Colleen Haynes RongeyFebruary 21, 2000

![[IMAGE]](https://i0.wp.com/freepages.genealogy.rootsweb.ancestry.com/~edgmon/lurtonpo.jpg)
Meredith Martin is a senior history student at Arkansas State College in Conway, AR and she wrote me about the history of Lurton to present as a Senior Project…calling it the Rise and Fall of Lurton, Arkansas and I have referred her to the Sutton Family and Lloyd Sutton who is related to both the Suttons and Smiths…
This is some correspondence in February 2000…
Letter to Meredith by Harry Sutton 2/17/00
Meredith L. Martin
Dear Miss Martin,
I am Harry W. Sutton, the only living direct descendent of I. C. Sutton and Cornelia A. White Sutton. I was the fourth child born September 15 1919 to the union, and was born in the big two story white house there in Lurton.
First a little history about my family. My father, Irving Clarence (IC) Sutton was born July 14 1890 in Salem Oregon. His parents moved to Zion, IL when he was quite young. The move was primarily for the health of his mother and the healing qualities of the church in Zion. My father’s schooling was all in Zion. He only completedthe tenth grade and never went to college.
He went to work for a company that built ditch digging machines and continued his education by reading and applying it to his job and became an engineer for the company at an early age. He then became a representive for the company and and was sent to all parts of the U S to train and or repair the equipment that was shipped to the various cities. In his travels he met my mother, Cornelia White, in Oklahoma and they were married March 23, 1910. My older brother Irving was born on December 30, 1910 in Oklahoma City. Charles, Lloyd’s father, was born in Zion, IL April 5 1913. My sister Mary Minerva born before Lurton, May 6, 1916. I was next, as stated above, then my brother Alburtus (Burt) was born in Russellville, AR November 9, 1921.
Now the reason for moving to the Ozarks. When my two older brothers were just babies, my father’s work took him (and his family) to many large cities, primarily in the eastern part of the U S. My father built a portable house that could be put together and taken apart using bolts and nuts and could be loaded on a flatcar on the train and shipped to where his job was, and their household goods was put in a boxcar and shipped along with the house. I am told that the second brother was extra healthy and weighed 30+ pounds when three months old. Mom got so fed up moving and lugging the baby that she told my dad she wouldn’t care if she was 50 miles from a railroad.
Well, to make a long story short my dad took her up on it and made a trip to the Harrison Land Office in Harrison, AR. While there a fellow came in and they were talking he said he had came in to list 60 Acres that had a log house, a barn, a good spring and several acres cleared land and good pasture. Dad told the man if he could get to a railroad within a reasonable time and if it wouldn’t cost more than $5.00 to get there he might be interested. Of course he was assured that was no problem and the property was approximately 50 miles from a railroad so a deal was made. The man’s name may have been Brace because everybody called it the Brace Place.
Dad returned back to his job and spent about another year working, then made the move to the mountains. At this time, about the year of 1915, there was not any known roads or maintained highways to that part of Newton County, AR There were trails used by wagons and horseback riders and the closest and most direct route by rail to their destination was from St. Joe, AR. Upon their arrival in St. Joe arrangements were made for three wagons to truck their belongings to the “Brace Place”. The party consisted of mom, dad, Grandma White and the two young boys, along with trunks, luggage, baby buggies, a pump organ, mother’s violin and numerous household goods, and the drivers of the wagons.
From St. Joe they crossed the Buffalo River at Wollem, crossed Horn Mountain, then Cave Creek and up Shuler Point to the Tarlton Flats on top of the mountain and on West of the Hamm place, which later became Lurton, about two miles to their new home. On the journey across the mountains they had to double up the teams to get the heavy loaded wagons up the steep grades. At this time I understand that Mom wasn’t too sure she had made the very best of decisions about being 50 miles from a railroad. They did survive and dad tried farming for a year and said he nearly starved out.
The closest Post Office at that time was located at Moore, AR, which was approximately 10 miles east as the crow flies and the mail was distributed by horseback to the homes. I have a letter in my archives at home, addressed to my dad at Moore, AR from his company, asking him to return to work. This he did but only for a short time.
In the meantime, as World War I was in full swing, the Bass and Cave Creek area had working lead and zinc mines, good creek bottom farming land and appealed greatly to the Hamm Family, and they made arrangements to make a move there and my dad went in debt to purchase their mountain property which later became Lurton.
The move from the Brace Place, along with my new sister Mary transpired and a new home was established. At that time the only buildings there was the two story home place, a barn, the general store building which was just outside the south front yard gate and the original Rosamond Sawmill building located between what later became the hotel and garage. It was in the old sawmill building that the first industry was established. The very first (the sawmill was no longer there) was a grist mill. Saturdays was “mill” day and people from far and near brought their grain in on horses wagons and later strip down motor cars. Primarily Model T’s. The year was now the early 20’s, and I can recall my brother Irving running the grist mill, grinding the grains to the various customers requirements. Wheat into flour, corn in meal for cornbread or cracked for chickens, and most all other animals. Back to the sawmill. I have been told that it was used to cut a major portion of the rough lumber that was used in construction of the Sutton home place.
Let me back up just a might here. I was about to leave out one of the most important episodes. My mother decided we needed mail service in the area and made application to the postal department for a post office. She was required to submit five names for the department to make a selection from. One of the names was the married name of her half sister Lurton and it was selected. So now we have a Lurton, Arkansas on the map.
Next still in the mid ’20’s, my dad begun making chairs in part of the sawmill building. They were mostly of the “Ladder Back” variety and began to hire his first full time employees. The Nichols family from the Big Creek area were the first. The “chair factory” consisted of a wood turning lathe and Henry Nichols was an expert at turning out the various chair parts. It was a great pleasure to see the chips fly from the raw stock and it looked almost like magic the way Henry could duplicate the parts. Dad assembled numerous special machines for boring. sawing, mortising and even designed a special crude tool for making the white oak “splits” used in weaving the chair bottoms. Hickory bark was also used for that purpose. In fact I have a school chair at home that was a product of those days and it has a hickory bark bottom in it and the chair is as solid as when it was first made. The Nichols family occupied several tents on the bench that was above the chair factory and were the first permanent settlers in Lurton proper.
Work had began on Highway 7 and even though it was a very crude road it could be traveled from Russellville to Harrison. Lurton being half way between the two towns became a place for people to spend the night.Today you can travel between the two towns in a little more two hours but back then by the time you were pulled out of numerous mud holes and fixed several flat tires made Lurton an admirable place to spend the night. Highway 7 was completed before Highway 65 and people traveling from Harrison to Little Rock by car had to use # 7. Jasper Mountain was a bugger and also the mountain to “Bugger Hollow” to the south was about the same. As a result our home became more or less a hotel and we kept lots of travelers. Also around this time Freeman Springs had built a resort hotel and became a very popular place.
Even though Lurton itself didn’t have a lot of people living right in the area at this time, the “woods” were full of people in all directions in a very small radius and business was good. One of the first homes to be built was by my mother’s cousin, Lloyd Spencer. It was a summer home and was located directly across the road and up on the hill above our well. (Yvonne and I lived there when we were first married). My dad then built two rent houses in the same area and things began to happen. My dad’s brother Jayson Sutton “Jay” moved in the area and built the garage, service station and cafe just to the north of the chair factory, this was in the mid ’20’s and the community got together and constructed the new school and community building and more new homes were built on the hillside above the road and more tents were also lined near the houses.
Also the Lurton general store was moved across Highway 123 and reconstructed into a large general store and carried just about anything people needed. The post office was also going great. The store bought all kinds of roots, like gin sang, may apple and many others kinds that I cannot remember and shipped them to their destination by parcel post. The store also bought cream and had testers for determining the amount of butterfat which also determined the grade or quality. Also eggs and about anything that was of value was purchased from the farmers and either shipped by parcel post or delivered to town and exchanged for other products or sold outright.
I would like to put specific dates on all this but the best I can do is to generalize the time. However, we are now approaching the year 1929. That is the year of big changes. The early part of ’29 was very prosperous for my father and he was looking forward to making Lurton a well known village. He hired the county surveyor and layed the town of Lurton into lots and blocks and streets and had maps and blueprints published and put on county records.
Also, 1929 was the year my dad made arrangements to purchase a rough turned handle mill that was located at Bass, AR from the W.E. Bruner and Sons Handle Company that had their main plant located at Heber Springs, AR at the time. A building was constructed just west of the home place and the equipment was moved from Bass to Lurton.
Miss Martin, I am going to send this much of my narration now. I am just getting to the most important part of my Lurton experiences and I want to compose the rest in a word processing program instead of the draft for e- mail I am using with this writing. I can then copy and paste for future e- mail and I think it will be easier to preserve what I have wrote for future references. Also, I must send a copy of this to at least Lloyd and Colleen or I would be in “BIG TROUBLE”.
Harry Sutton
Colleen Letter to Harry/ 2/2000
fwd Lloyd & Meredith
Harry…Thank you, thank you, thank you…
You have put some pieces of the Lurton puzzle together for me… and created others…
By the way, I have a copy of a letter written by Elsa McElroy Gilmore from Lurton dated 1927 and she tells of Walter being the first teacher at the new Lurton School, about the singing at the schoolhouse and the quartet of singers of her and Walter and the Suttons and the Freeman girls. I need to write to Erma about this and see if she remembers this time.
Mrs Elta McElroy Gilmore was writing to her sister and told about the time their father Mr. McElroy came through Lurton with his team and wagon and stayed the night on his way to Russellville and back, and on his way back home, he stopped and took his grandson, Robert Gilmore home with him to McElr oy Gap for a few days. Robert wrote of the songs he played on his grandpa McElroys, victrola… Elta said they had a Christmas program at the school house that year.
It was while they lived there in the white house later used by Irving and Ruby (I think, it may have been the rent house next door to them) she said it was across from the store, so could have been any of them at the time…
Harry, exactly where was the first general store located in relation to your white house? Out the gate by 123? Or out the gate by #7? Lloyd thinks it was out in the middle of the forks of NO 7 and 123 because of the gas pump being still out in the center of the road in the photos…I have a picture of my mother and our twins in 1940 with the gas pumps in the middle of the two roads and I think that was put there for convenience in filling up ICs trucks…but don’t know for sure…Just curious.
Also, have had inquiries from the Nichols family about (Ina Rosamond and Nichols’s grandchildren) about the Nichols family in Lurton. Did they stay there or move back to the creek? Also, she said her ggggrandmother married OLD man John Bristow and lived with him on the old Bristow place until he died and she moved back to the creek…(The Bristows called the woman Old Lady Nichols and the Nichols family called him Old Man Bristow) I know Mr. John Bristow worked for IC there in the general store until he was quite old…
After Mr John Bristow died at the Bristows old house and Charlie and Nora Bristow family moved in the house, one Easter Sunday in the early 1940s, after Sunday School at the Lurton Schoolhouse, a bunch of Lurton families went over to Nora and Charlie Bristows for a big dinner..the adults cooked and served food and visited and the children (about twenty of us) ran and played and went about a half mile back on their place to the Old Beare Place.. .the boys started talking “Nasty” and saying what they were going to do to me (and the other girls) if we hid in the corner playing Hide and seek…so I ran away (with my white Easter shoes on and white dress, and ran through the woods to the Bristow’s house where the adults were…(I remember thinking of how I could get out of this situation… and I was embarrassed and hoped to die but I didn’t)
Back at the house, the boys were laughing and telling everybody, ” We don’t know what happened, Colleen just ran off through the woods and we couldn’t find her…and told me, “We were just joking, we didn’t mean to scare you” (but I KNEW better…) My heart was beating a mile a minute…and I literally ran across a branch and didn’t get my feet wet…these boys were Stanley Smith and Arvil Bristow…(I was about 10)…But I do know where the Old Beare Place was. (grin)
The Suttons affected my life in a lot of ways…In fact, you know that I went to Houston to live with my Aunt Dorothy and Uncle Coleman Haynes and join the Cadet Nurse Corps when I graduated in 1945 from Deer…the war got over and they discontinued the cadet program, so I came back to Lurton with my footlocker and nurses watch and stayed home that summer and worked in IC Sutton’s office with Lola Dollar…I was ICs secretary and wrote his letters and kept his land map up to date and did errands and even helped put up the mail, Mrs Sutton was not working in the PO that much by then…and that summer, I got to know your dad, Mr. I. C. Sutton…He was a very intelligent and caring person. He and I always had a good repor and he always had a come back with anything I said… He tried to find a job for the people and he worked on that Lurton Community until the day he left…
One day that spring, your sister Mary Thompson came by the office and told me she and her husband John and the baby Jeanette were leaving for California and they had room for me to ride with them and help with Jeanette, If I wanted to do this, for free…
So I went to the mill and asked my mother, she said,”Ask your daddy,” (He worked there, too…Dad said, “Ask your mother…) so I ran to our old house and packed a suitcase and left with John and Mary that afternoon heading down the mountain for Anaheim, California. I had a girlfriend Aline Harrington Pritchett from Deer High School who lived there and she had asked me to come out for a visit, so I did that and stayed there all summer…Got homesick for the mountain and my friends…
Rode the bus home and worked a couple more months for IC, then, when school started and the boys all went away to school (Ark Tech), I left for Ft. Smith where I lived with Aunt Minnie Woodard Freeman and later met Paul Rongey, married and left Arkansas for good…But never really got over leaving Lurton Mountain behind.
This year, with the event of the email, have heard from many early families through their great and gg grandchildren, with many questions left unanswered by their deceased family members about when they all lived there one Lurton Mountain..
So now am trying to put together some of the story of the Rosamond ‘s for one of their gggrandaughters…(where they lived, early, the murder of Mr. Rosamond)
A Question for you, Harry:
Did the Rosamonds move their sawmill stuff over to my Grandpa Woodard’s Pond a nd set it up or who did that? Someone cut the raw wood for his house there and I thought it was the Rosamond boys…But maybe someone else was doing the work by then.
When my parents moved in to the Cabin by the Pond there beside the pond in 1932, Phyllis was one year old and I was three and they there was a giant sawdust pile beside our house. Thelma Awbrey Gregoire tells me she remembers a time when she and I and my cousin Lloyd Haynes made tunnels in this sawdust pile and Grandma Woodard made us quit playing in them…when we were around 8 or 10…
Again, thanks for the Sutton letter…and I look forward to the next one. I am sure Lloyd does too…Hope you and Yvonne are having a wonderful Scottsdale season…Take care. Colleen
Colleen H. Rongey 529 Stewart Avenue New Orleans, LA 70123 504-737-8459
Back to Lurton, Newton County, Arkansas
Back to Newton County Families®
Thelma Awbrey Gregoire wrote the above history a few years ago, she mailed it to me and asked that I include it in the section on Lurton…Thank You for sharing Thelma! Many things have changed since Thelma’s writing…the well known landmarks for the most part, are now gone…
Ida Louisiana Rosamond (born Rose)
|
Birth name: |
Ida Louisiana Rose |
|
Gender: |
Female |
|
Birth: |
1860 |
|
Marriage: |
Feb 16 1881 |
|
Residence: |
1870 |
|
Death: |
Sep 5 1891 |
|
Burial: |
|
|
Parents: |
|
|
Husband: |
|
|
Children: |
|
|
Siblings: |
Charles W. Rose, Wesley Rose, Bertha Jane Meredith (born Rose), Marcus C Rose, Laura Rose, Albert Edward Rose, Sheldon Rose |
Edward Haney Rose
Found 10 Records, 9 Photos and 3,391,737 Family Trees
Born on 30 Oct 1799 to Allen Rose and Elizabeth Haney. Edward Haney married Clark St Marriage and had 2 children. Edward Haney married Marriage Martha Westbrook and had 4 children. He passed away on 1875 in Navada, Missouri, USA.
Family Members
Parents
Spouse(s)
Edward Rose
Found 10 Records, 10 Photos and 3,391,737 Family Trees
Born in North Carolina, USA on 17 May 1743. Edward married Drusilla Pierpoint and had 10 children. He passed away on 23 Feb 1834 in Perry, Ohio, USA.
Family Members
Parents
Spouse(s)












Leave a comment